Apoderiger banari

Apoderiger banari
Scientific classification Edit this classification
Kingdom: Animalia
Phylum: Arthropoda
Class: Insecta
Order: Coleoptera
Suborder: Polyphaga
Infraorder: Staphyliniformia
Family: Staphylinidae
Genus: Apoderiger
Species:
A. banari
Binomial name
Apoderiger banari
Hlaváč, 2025

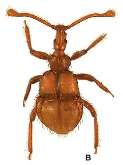
Apoderiger banari is a species of beetle of the Staphylinidae family. This species is found in Madagascar (Anjozorobe).

Adults reach a length of about 1.65–1.70 mm and have a yellowish-brown body.

Etymology

The species is named after a good friend of the author, Peter Baňař, who collected many pselaphines in Madagascar.[1]

References