Asaphodes oraria

Asaphodes oraria
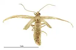
Female
Male
Scientific classification Edit this classification
Kingdom: Animalia
Phylum: Arthropoda
Class: Insecta
Order: Lepidoptera
Family: Geometridae
Genus: Asaphodes
Species:
A. oraria
Binomial name
Asaphodes oraria
(Philpott, 1903)[1]
Synonyms[2]
  • Xanthorhoe oraria Philpott, 1903
  • Larentia oraria (Philpott, 1903)

Asaphodes oraria is a species of moth in the family Geometridae.[2] This species is endemic to New Zealand and has been observed in the southern South Island and on Stewart Island / Rakiura. The male is pale yellow coloured and the female has severely reduced wings and is flightless. The habitat of this species is tussock grasslands on coastal sand dunes and in the mountains at elevations of approximately 4,000 ft. The larvae have adapted to feeding on exotic lawn daisy species in the genus Bellis. The adults of this species are on the wing from November to April.

Taxonomy

This species was described by Alfred Philpott in 1903 and named Xanthorhoe oraria.[3] George Hudson discussed and illustrated this species under the name Xanthorhoe oraria in his 1928 publication The Butterflies and Moths of New Zealand.[4] In 1939 Louis Beethoven Prout placed this species in the genus Larentia.[5] This placement was not accepted by New Zealand taxonomists.[6] In 1971 J. S. Dugdale placed this species within the genus Asaphodes.[7] Dugdale confirmed this placement in 1988.[2] The male holotype, collected at New River, Invercargill, is held at the New Zealand Arthropod Collection.[2]

Description

Illustration of male A. oraria by George Hudson.

Philpott described this species as follows:

♂, 20-25 mm. Whole insect pale dull-yellow. In some examples indications of a dark line across fore wings at ⅓, and a more pronounced irregular thin line at ⅔, beyond which the colour is paler, but very few specimens have even these markings. All specimens have, however, a dark spot near costa, before ½. An obscure and dull-looking species differing from other species of the genus in the almost total absence of markings.[3]

The female of the species is semi-apterous and is flightless.[8]

Distribution

Type locality for this species, New River Estuary, Invercargill.

This species is endemic to New Zealand.[1] This species has been observed in the South Island and Stewart Island including at the type locality of Invercargill, Ben Lomond and Mount Earnslaw / Pikirakatahi in Otago.[4]

Behaviour

The adults of this species are on the wing from November to April.[4]

Habitat

This species inhabits tussock grass on coastal sand dunes and hills.[3] It has also been found in mountainous tussock grass habitat at elevations of approximately 4,000 ft.[4]

Host species

Larvae have been raised on, and has also been observed in the wild feeding on, introduced lawn daisy species within the genus Bellis including Bellis perennis.[9][8] It has been hypothesised that the native hosts of the larvae of this species are forest floor, wetland, coastal and inter-tussock herbs.[9]

References

  1. ^ a b "Asaphodes oraria (Philpott, 1903)". www.nzor.org.nz. Retrieved 2022-01-23.
  2. ^ a b c d Dugdale , J. S. (23 September 1988). "Lepidoptera - annotated catalogue, and keys to family-group taxa". Fauna of New Zealand. 14. Department of Scientific and Industrial Research: 174. doi:10.7931/J2/FNZ.14. ISSN 0111-5383. Wikidata Q45083134.
  3. ^ a b c Alfred Philpott (July 1903). "On some New Species of Lepidoptera (Moths) from Southland". Transactions and Proceedings of the New Zealand Institute. 35: 248. ISSN 1176-6158. Wikidata Q110737345.
  4. ^ a b c d Hudson, G. V. (1928), The butterflies and moths of New Zealand, Illustrator: George Hudson, Wellington: Ferguson and Osborn Limited, p. 121, LCCN 88133764, OCLC 25449322, Wikidata Q58593286
  5. ^ Prout, L. B. (1939). "Geometridae: Fauna Indo-Australica". The Macrolepidoptera of the World. 12: 264 – via Biodiversity Heritage Library.
  6. ^ R. C. Craw (April 1987). "Revision of the genus Helastia sensu stricto with description of a new genus (Lepidoptera: Geometridae: Larentiinae)". New Zealand Journal of Zoology. 14 (2): 269–293. doi:10.1080/03014223.1987.10422997. ISSN 0301-4223. Wikidata Q54670161.
  7. ^ Dugdale, J. S. (10 November 1971). "Entomology of the Aucklands and other islands south of New Zealand: Lepidoptera, excluding non-crambine Pyralidae". Pacific Insects Monographs. 27: 93–95. ISSN 0078-7515. Wikidata Q64006453.
  8. ^ a b Brian Patrick (1 July 2014). "Ecology and conservation of the rare moth Asaphodes frivola Meyrick". The Wētā. 47: 17–38. ISSN 0111-7696. Wikidata Q105344866.
  9. ^ a b Brian H. Patrick (April 2000). "Conservation status of two rare New Zealand geometrid moths" (PDF). Science for Conservation. 145: 1–21. ISSN 1173-2946. Wikidata Q109608608.