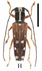
Glenea relicta

Glenea relicta
Glenea relicta relicta
Scientific classification Edit this classification
Kingdom: Animalia
Phylum: Arthropoda
Class: Insecta
Order: Coleoptera
Suborder: Polyphaga
Infraorder: Cucujiformia
Family: Cerambycidae
Genus: Glenea
Species:
G. relicta
Binomial name
Glenea relicta
Pascoe, 1868
Synonyms
  • Glenea relicta v. unilineata Pic, 1943
  • Glenea (Glenea) relicta m. discobasireducta Breuning, 1956
  • Glenea (Glenea) relicta m. posthumerolineata Breuning, 1956
  • Glenea relicta m. obscurefemorata Breuning, 1965

Glenea relicta is a species of beetle in the family Cerambycidae. It was described by Francis Polkinghorne Pascoe in 1868.[1] This species is found in China, Japan, Taiwan, Vietnam, India and Korea.[2]

Subspecies

  • Glenea relicta relicta (China [Sichuan, Hubei, Jiangxi, Zhejiang, Jiangsu, Anhui, Shaanxi, Guizhou, Hunan, Fujian, Guangxi, Hainan, Guangdong], Vietnam, India, South Korea)
  • Glenea relicta izuinsularis Fujita, 1980 (China [Hunan], Japan [Izu Islands])
  • Glenea relicta formosensis Breuning, 1960 (Taiwan, Korea, Japan)

References

  1. ^ BioLib.cz - Glenea relicta. Retrieved on 8 September 2014.
  2. ^ Tavakilian, G.; Chevillotte, H. [hhttp://titan.gbif.fr/sel_genann1.php?numero=11192 "Glenea relicta Pascoe, 1858"]. Base de données Titan sur les Cerambycidés ou Longicornes. IRD-MNHN. Retrieved 4 July 2025.