Quedius impressithorax

Quedius impressithorax
Scientific classification Edit this classification
Kingdom: Animalia
Phylum: Arthropoda
Class: Insecta
Order: Coleoptera
Suborder: Polyphaga
Infraorder: Staphyliniformia
Family: Staphylinidae
Genus: Quedius
Species:
Q. impressithorax
Binomial name
Quedius impressithorax
Scheerpeltz, 1965
Synonyms
  • Quedius (Microsaurus) impressithorax Scheerpeltz, 1965

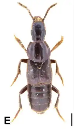
Quedius impressithorax is a species of beetle of the family Staphylinidae. It is found in Myanmar (Kachin).

Description

Adults have a dark brown head, elytra, abdomen, antennae and legs, while the pronotum and apices of the abdominal tergites are slightly paler and dark reddish brown. The apical tarsomeres of all legs are paler and yellow-brown and the abdomen is vaguely iridescent.[1]

References