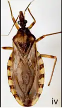
Triatoma sordida
| Triatoma sordida | |
|---|---|
| |
| Scientific classification | |
| Kingdom: | Animalia |
| Phylum: | Arthropoda |
| Class: | Insecta |
| Order: | Hemiptera |
| Suborder: | Heteroptera |
| Family: | Reduviidae |
| Genus: | Triatoma |
| Species: | T. sordida
|
| Binomial name | |
| Triatoma sordida (Stål, 1859)
| |
Triatoma sordida is an assassin bug (Family Reduviidae) within the genus Triatoma.[1] This species consists of three subspecies. Also referred to as kissing bugs, T. sordida are most well known for their role as a secondary vector of Chagas disease.[2] Inhabiting warm, dry climates, T. sordida are widely distributed throughout South America, occupying houses, farming structures, and wild habitats.[1][3] Pest control is currently focused on insecticide application.[4] However, biological controls utilizing fungi appear promising.[5]
Phylogeny
The genus Triatoma currently consists of eight complexes and nine subcomplexes.[1] T. sordida belongs to the T. sordida subcomplex, which consists of six species.[1] Within the T. sordida subcomplex, there are three variants of T. sordida species, T. sordida sensu stricto, T. sordida La Paz and T. sordida Argentina.[1][6] The former, may be found in Bolivia, Brazil, Argentina, and Paraguay, while T. sordida Argentina can be found in its namesake geographical region.[1][7]

Reproduction and life cycle
The dispersal ability of this species increases the difficulty in which reproduction can be studied. However, researchers understand that females are inseminated by male counterparts, then females choose a suitable location for oviposition.[9] The eggs then incubate for approximately 23 days, emerging as first instar nymphs at approximately 24 days.[2] The average life cycle of T. sordida from egg to adult is approximately 213 days, consisting of the egg stage, five nymphal stages, and the adult stage.[2]T. sordida are hemimetabolous and reproduce many times per lifetime.[9][10]
Morphology
General
Triatoma sordida have sucking mouthparts used to gain external access to their blood host and two sets of membranous, overlapping wings. In addition, stridulation, or sound production, may be achieved by rubbing the proboscis against a grooved organ located on its ventral surface adjacent to the head.[10][11] Sexual dimorphism is noted in this species, as males and females differ in sensilla pattern on their antennae and females are often longer.[12][13]
Female external reproductive anatomy

Little work has been dedicated to the characterization of female genitals, as it was incorrectly thought that the structures were not pertinent to species identification.[14] Recent work utilizing scanning electron microscopy (SEM) technology, however, has allowed researchers to photograph and characterize external anatomy to assist in species identification.[7] When viewed from above, the female genitals of Triatoma sordida sensu stricto take a trapezoidal shape (Figure 3). When examining the last-most segment, near the posterior portion of the genitals, a rounded shape is taken. However, when viewed from behind, this same structure appears almost circular.

Male internal reproductive anatomy
The male internal reproductive components generally consist of two systems, the reproductive and accessory reproductive organs.[13] The former include seminal vesicles and the testis, where sperm is held, while the latter consists of four glands that connect to the seminal vesicle.
Habitat
Individuals of this subcomplex may be found in wild, domestic, and peridomestic habitats.[3] Species within T. sordida have a large geographical range which they inhabit, including Argentina, Bolivia, Brazil, and Paraguay.[1][7] There is noted preference for hot, dry climates, with organisms of this species occupying dead, dried out trees, chicken coops, and rural houses.[3][7][15]
Vectors of disease
The Triatoma genera are important vectors of Chagas disease, transmitting the parasite Trypanosoma cruzi via their frass.[3][16] When bitten, it is common that a person will accidentally smear the feces into the open wound.[16] However, transmission is possible through blood products, vertical transmission, and contaminated food.[16]
Due to its frequent occurrence with avian hosts, it was believed that T. sordida prefer such.[3] However, studies confirm the species' preference for mammalian hosts.[3][17] Although, it was found that individuals who fed on avian hosts lived longer, this perceived cost is outweighed by the fitness benefits of mammalian blood, as females who fed on mouse blood had higher fecundity.[17]
Control
Laboratory studies confirm the success of a pyrethroid insecticide, called deltamethrin, as a control for T. sordida, as long as the treatment is applied twice.[4] The efficacy of insecticides targeted toward T. infestans on T. sordida has also been tested, proving a decrement to T. sordida populations.[18] However, shortly thereafter T. sordida populations recovered. As a result of findings of a new fungal species of Evlachovaea on deceased Triatoma sordida, researchers investigated the viability of this fungi as a biological control agent.[5] Their findings suggest that Evlachovaea can increase mortality of third-instar Triatoma sordida nymphs, but only if humidity is favourable to fungal production.
References
- ^ a b c d e f g Belintani, T.; Oliveira, J.; Pinotti, H.; Silva, L.A.; Alevi, K.C.C.; Galvão, C.; Aristeu da Rosa, J. (December 2020). "Phylogenetic and Phenotypic Relationships of the Triatoma sordida subcomplex (Hemiptera: Reduviidae: Triatominae)". Acta Tropica. 212 105679. doi:10.1016/j.actatropica.2020.105679. hdl:11449/202057. PMID 32860747.
- ^ a b c Mello, D.A. (1976). "Biology of Triatominae (Reduviidae, Hemiptera) from North of Formosa County (Goiás-Brazil) I. Length of life cycle of Triatoma sordida (Stal. 1859)". Revista da Sociedade Brasileira de Medicina Tropical. 10 (6): 327–331. doi:10.1590/S0037-86821976000600003.
- ^ a b c d e f Crocco, L.; Catalá, S. (1997). "Host Preferences of Triatoma sordida". Annals of Tropical Medicine & Parasitology. 91 (8): 927–930. doi:10.1080/00034983.1997.11813220. PMID 9579212.
- ^ a b Pessoa, G.C.D.; Pinheiro, L.C.; Ferraz, M.L.; Vaz de Mello, B.; Diotaiuti, L. (February 2015). "Standardization of Laboratory Bioassays for the Study of Triatoma sordida Susceptibility to Pyrethroid Insecticides". Parasites & Vectors. 8 109. doi:10.1186/s13071-015-0726-4. PMC 4349461. PMID 25880745.
- ^ a b Luz, C.; Rocha, L.F.N.; Humber, R.A. (2003). "Record of Evlachovaea sp. (Hyphomycetes) on Triatoma sordida in the State of Goiás, Brazil, and Its Activity Against Triatoma infestans (Reduviidae, Triatominae)". Journal of Medical Entomology. 40 (4): 451–454. doi:10.1603/0022-2585-40.4.451. PMID 14680110.
- ^ Madeira, F.F.; Delgado, L.M.G.; Bittinelli, I.D.F.; Oliveira, J.D.; Ravazi, A.; Visinho dos Reis, Y.; Bortolozo de Oliveira, A.B.; Cristal, D.C.; Galvao, C.; Vilela de Azeredo‑Oliveira, M.T.; Aristeu da Rosa, J.; Alevi, K.C.C. (October 2021). "Triatoma sordida (Hemiptera, Triatominae) from La Paz, Bolivia: an Incipient Species or an Intraspecific Chromosomal Polymorphism?". Parasites & Vectors. 14 553. doi:10.1186/s13071-021-04988-9. PMC 8555079. PMID 34706767.
- ^ a b c d e f Belintani, T.; Oliveira, J.; Pinotti, H.; Alevi, K.C.C.; Nascimento, J.D.; Sasso-Cerri, E.; Galvão, C.; Aristeu da Rosa, J. (2021). "Characterization of Female External Genitalia and Eggs of Four South American Species of the Triatoma Laporte, 1832 Genus (Hemiptera: Reduviidae: Triatominae)". Insects. 12 (6) 537. doi:10.3390/insects12060537. PMC 8229054. PMID 34200545.
- ^ Nattero, J.; Piccinali, R.V.; Lopes, C.M.; Hernández, M.L.; Abrahan, L.; Lobbia, P.A.; Rodríguez, C.S.; Carbajal de la Fuente, A.L. (September 2017). "Morphometric Variability Among the Species of the Sordida Subcomplex (Hemiptera: Reduviidae: Triatominae): Evidence for Differentiation Across the Distribution Range of Triatoma sordida". Parasites & Vectors. 10 412. doi:10.1186/s13071-017-2350-y. PMC 5585980. PMID 28877741.
- ^ a b Pacheco de Souza, J.M.; Rodrigues, V.L.C.C.; Olavo da Rocha e Silva, E. (1978). "TRIATOMA SORDIDA — CONSIDERAÇÕES SOBRE O TEMPO DE VIDA DAS FORMAS ADULTAS E SOBRE A OVIPOSIÇÃO DAS FÊMEAS" [Triatoma sordida: comments on the life span of the adult forms and oviposition of females]. Revista de Saúde Pública (in Brazilian Portuguese). 12 (3): 291–296. doi:10.1590/S0034-89101978000300004.
- ^ a b Lazzari, C.R.; Pereira, M.H.; Lorenzo, M.G. (2013). "Behavioural Biology of Chagas Disease Vectors". Memórias do Instituto Oswaldo Cruz. 108 (Supplement 1): 34–47. doi:10.1590/0074-0276130409. PMC 4109178. PMID 24473801.
- ^ Schilman, P.E.; Lazzari, C.R.; Manrique, G. (2001). "Comparison of Disturbance Stridulations in Five Species of Triatominae Bugs". Acta Tropica. 79 (2): 171–178. doi:10.1016/S0001-706X(01)00095-X. PMID 11369310.
- ^ Carbajal de la Fuente, A.; Catalá, S. (2002). "Relationship Between Antennal Sensilla Pattern and Habitat in Six Species of Triatominae". Memórias Instituto do Oswaldo Cruz. 97 (8): 1121–1125. doi:10.1590/S0074-02762002000800010. PMID 12563477.
- ^ a b Chiang, R.G.; Chiang, J.A.; Sarquis, O.; Lima, M.M. (2012). "Morphology of Reproductive Accessory Glands in Eight Species of Blood-Feeding Hemiptera (Hemiptera, Reduviidae) Insect Vectors of Chagas Disease". Acta Tropica. 122 (2): 196–204. doi:10.1016/j.actatropica.2012.01.011. PMID 22314031.
- ^ Telleze-Garcia, A.A.; Bello-Bedoy, R.; Enriquez-Vara, J.N.; Cordoba-Aguilar, A.; Guitierrez-Cabrera, A.E. (March 2019). "Genital morphology and Copulatory Behavior in Triatomine Bugs (Reduviidae: Triatominae)". Arthropod Structure & Development. 49: 103–118. doi:10.1016/j.asd.2018.11.012. PMID 30529710.
- ^ Diotaiuti, L.; Loiola, C.F.; Falcao, P.L.; Dias, J.C.P. (1993). "The Ecology of Triatoma sordida in Natural Environments in Two Different Regions of the State of Minas Gerais, Brazil". Revista do Instituto de Medicina Tropical de São Paulo. 35 (3): 237–245. doi:10.1590/s0036-46651993000300004. PMID 8278753.
- ^ a b c "Chagas disease". www.who.int. Retrieved 2022-11-16.
- ^ a b Guarneri, A.A.; Pereira, M.H.; Diotaiuti, L. (2000). "Influence of the Blood Meal Source on the Development of Triatoma infestans, Triatoma brasiliensis, Triatoma sordida, and Triatoma pseudomaculata (Heteroptera, Reduviidae)". Journal of Medical Entomology. 37 (3): 373–379. doi:10.1093/jmedent/37.3.373. PMID 15535580.
- ^ Rodríguez-Planes, L.I.; Sol Gaspe, M.; Enriquez, G.F.; Gürtler, R.E. (February 2020). "Impacts of Residual Insecticide Spraying on the Abundance and Habitat Occupancy of Triatoma sordida and Co-occurrence with Triatoma infestans: A Three-year Follow-up in Northeastern Argentina". Acta Tropica. 202 105251. doi:10.1016/j.actatropica.2019.105251. hdl:11336/163575. PMID 31706862.
