Windsor Methodist Parsonage
| Windsor Methodist Parsonage | |
|---|---|
![]() Heritage boundaries | |
| Location | 49 Macquarie Street, Windsor, City of Hawkesbury, New South Wales, Australia |
| Coordinates | 33°36′27″S 150°49′15″E / 33.6075°S 150.8208°E |
| Official name | Methodist Parsonage (former); Uniting Church Group |
| Type | State heritage (built) |
| Designated | 2 April 1999 |
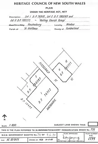
| Reference no. | 735 |
| Type | Presbytery/Rectory/ Vicarage/Manse |
| Category | Religion |
![]() Location of Windsor Methodist Parsonage in Sydney ![]() Windsor Methodist Parsonage (Australia) | |
Windsor Methodist Parsonage is a heritage-listed clergy house at 49 Macquarie Street, Windsor, City of Hawkesbury, New South Wales, Australia. It is also known as Chantons Chambers. It was added to the New South Wales State Heritage Register on 2 April 1999.[1]
History
The former Methodist parsonage was built at the 1870s, in the same time period as the second (present) Methodist - now Uniting - church. The original parsonage had been destroyed along with the original church in the devastating fire of 23 December 1874. It ceased use as a parsonage in 1982.[2]
Description
The former parsonage is a two-storey, symmetrical three bay rendered brick house having steep gabled iron roof with a tall rendered chimney at each end. It features large windows paired on either side of a four-panelled front door with transome and side lights set within and arch. It has a two-storey verandah with cast iron balustrade and friezed columns paired on either side of the front door. French windows upstairs and typical timber picket fence.[2]
Heritage listing
Windsor Methodist Parsonage was listed on the New South Wales State Heritage Register on 2 April 1999.[1]
References
- ^ a b "Methodist Parsonage (former)". New South Wales State Heritage Register. Department of Planning & Environment. H00735. Retrieved 13 October 2018.
Text is licensed by State of New South Wales (Department of Planning and Environment) under CC BY 4.0 licence.
- ^ a b "Uniting Church and Hall". State Heritage Inventory. Office of Environment and Heritage. Archived from the original on 13 October 2018. Retrieved 30 October 2018.
Bibliography
- Nichols, Michelle (Local Studies Librarian) (2010). Macquarie and the Hawkesbury District.
Attribution
This Wikipedia article was originally based on Methodist Parsonage (former), entry number 735 in the New South Wales State Heritage Register published by the State of New South Wales (Department of Planning and Environment) 2018 under CC-BY 4.0 licence, accessed on 13 October 2018.
This Wikipedia article was originally based on Uniting Church and Hall, entry number 5045614 in the New South Wales Heritage Database published by the State of New South Wales and Office of Environment and Heritage 2018 under CC-BY 4.0 licence, accessed on 30 October 2018.
_-_PCO_Plan_Number_735_(5045178p1).jpg)

